Skin Consultation

River Aesthetics is the UK’s leading cosmetic medicine and aesthetics clinic that specialises in non-surgical rejuvenation and skincare.

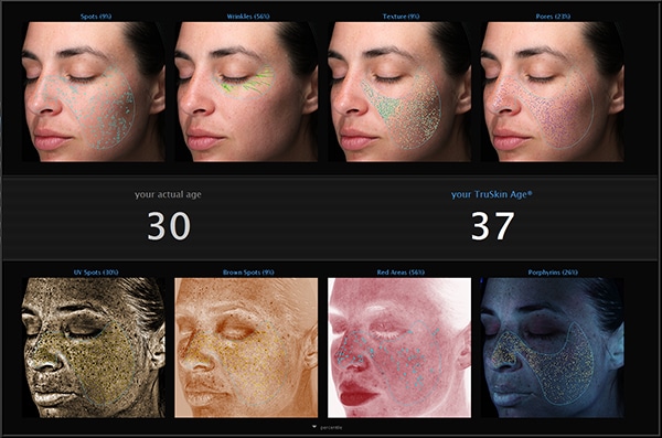
Patients start their skin consultation with a VISIA Skin Analysis, which looks at your skin in microscopic detail…not just how it looks on the outside, but it’s total skin health; not visible to the naked eye. The VISIA Skin Analysis System captures essential information about your skin so we can advise and tailor treatments specifically for your skin.

The machine can also track the results from your treatments, to determine whether those treatments are having the desired effect at the cellular level.

The pain-free process takes approximately 10 minutes to complete and allows us to examine and personalise skin treatments to your needs.

After your initial skin consultation, we advise repeating the process every 3-4 months to ensure that your treatment is having the desired effect.

The VISIA Skin Analysis System evaluates the following areas:

  • Wrinkles
  • UV spots
  • Skin discolourations
  • Pores
  • Skin tone consistency
  • Bacteria and oil

Book your Skin Consultation online or give us a call on 01202 024060.

HydraFacial™

The multi-step HydraFacial™ procedure combines six separate rejuvenation procedures into one. They are as follows:

Detox

Cleansing

Exfoliation

Extraction

Hydration

Antioxidant Protection

There are several skin concerns that these treatments can be tailored to. For general skincare in Bournemouth, HydraFacial™ is an effective option. Even for the most sensitive skin types, there will be no irritation or downtime.

The results will be seen immediately and are long-lasting. By selecting this form of skincare, Bournemouth patients will be left with firm and plump skin. The process also removes impurities and replenishes your skin with antioxidants, hyaluronic acid and peptides.

Laser Peel

Our carbon laser peel treatment – sometimes referred to as the Hollywood Peel or the Red Carpet Peel – will produce a refreshed appearance. Your skin will be exfoliated, softened and smoothed in 20 minutes.

Oxygen Facial

Intraceuticals Oxygen Facials enhance your complexion by hydrating your skin, leaving it radiant. They are ideal for red carpet events, with many celebrities choosing it as their number one procedure. Our signature Oxygen Facials include Rejuvenate, Opulence, Atoxelene and Clarity.

Consultation by Experts

Skin types vary greatly, so there is no ‘one size fits all’ solution when it comes to skincare. Bournemouth patients coming to River Aesthetics will meet with one of our doctors to discuss exactly which treatment would be the best option.

Each and every treatment is entirely bespoke, built around your unique needs and requirements. No other clinic can guarantee an approach as tailored as ours. This is why we are widely regarded across the world for our aesthetic excellence.

There are a range of high quality skincare products that we use, which include ZO, Obagi, and Heliocare. We will discuss your specific needs and advise on the correct products for you.

A Centre of Excellence for Skincare in Bournemouth

River Aesthetics is renowned for achieving natural-looking results with innovative treatments, attracting clientele from all walks of life. We have worked with politicians, Olympic athletes, TV personalities, and A-list actors.

We support a bespoke phased treatment approach that involves plenty of cooldown time between the consultation and the treatment for skincare. Bournemouth patients will be in safe and knowledgable hands thanks to the decades of combined experience possessed by Dr Manning and Dr Woodward.

Both are former General Practitioners that now specialise in non-surgical rejuvenation. They are also international speakers and global trainers in multiple techniques, all of which are performed at our clinic in Bournemouth. Skincare procedures are tailored to each individual patient to achieve maximum results.

Contact Us to Discuss your Skincare

To outline your requirements for skincare, speak to a member of the River Aesthetics team by calling 01202 024060. Alternatively, you can send a message through our online enquiry form and we’ll respond promptly.

Join our VIP club for the latest news and offers

Hampshire 01202 024060
Book ConsultationCall